【1】
上海飞温哥华的加航航班
紧急迫降在日本成田机场

据日本NHK、朝日新闻报导,日本国土交通省成田机场办公所表示,昨晚7时45分,从中国上海飞往加拿大温哥华的加航26号航班(波音787),于成田机场西北约360公里、高度约1万700公尺上空,因机长前方玻璃出现龟裂而宣告进入紧急事态,并通过无线电与地面联络。航班于当晚8时30分左右紧急降落在成田机场。机上299名乘客与机组人员悉数平安,无人受伤。成田机场A跑道因此关闭约4分钟,除致22个起降航班出现最长18分的延误外,无其它异常发生。日本消防队现已确认了挡风玻璃的损坏状况,加航正调查龟裂原因。

继蒙特利尔校董会CSDM和蒙特利尔英语校董会EMSB上周表示将遵守魁省宗教标志法后,魁省境内的私立学校也收到了省政府的信,告知他们也必须遵守这项法律,原因是“所有学校都从省政府获得某种形式的补贴”。私立学校官员表示,这封信让他们十分困惑,该法案禁止公职人员在工作时佩戴明显的宗教标志,而他们之前已得到政府保证,私立学校的教师将获得赦免。

8月30日开始的Cineplex电影票大促活动现正吸引着无数影迷---普通票半价,每张只要$6.99!其它3D电影、IMAX®、Prime seat、UltraAVX®、4DX、ScreenX、D-BOX和VIP(21岁+)也都有相应优惠。高分国产动画片《哪吒》的IMAX 3D版本现在只要$13.99!9月3日将是本轮大促的最后一天,请电影迷们抓紧时间过瘾。

蒙特利尔Verdun市一栋三层楼内昨日发生火灾,超过100名消防员、37辆消防车赶往救援。蒙特利尔消防局在下午1:49接到报警电话,至下午3点,被定为四级的大火仍未扑灭。消防局发言人Louise Desrosiers表示,受影响的居民均被及时疏散,无人受伤。起火点位于建筑物后方。此外,她重申了在家中安装烟雾报警器的重要性。

近日,蒙特利尔男子Josh McConnell在骑滑板车时险险被一辆逆行的车给撞死。而导致司机逆向行驶的根本原因,则是Hydro-Québec施工工地缺少交通指示牌。McConnell表示,当时他被撞得满脸是血,今后鼻子上可能还会少块肉。一番了解之后他才明白,错根本不在司机,而是工地所在的Guilbeault大街路口应该有一个道路关闭的标志,否则,不知情的司机还会向这里逆行。Hydro-Québec在一份声明中表示,他们会定期检查工地,并会将“标志与安全协调”视为首要任务。

今日凌晨3时许,蒙特利尔Ahuntsic-Cartierville市Lachapelle大桥发生致命交通事故,一男子死亡。警方称,向南行驶的汽车撞上了红绿灯柱,受重伤的61岁司机在被送往医院时已失去意识,随后被宣布死亡。据警方初步调查,事发时天正下雨,道路湿滑。该男子的血液被送往相关单位进行毒理学检查,以确定其中有否含有酒精。调查期间,Lachapelle大桥南侧、Gouin街与Laurentien大道之间的117号高速公路均被关闭。

因受虐而死的Granby女孩的生母计划在9月底前提起超过500万元的民事诉讼。蒙特利尔律师Valérie Assouline表示,他将为这名母亲提供免费服务,诉讼将针对本来就应该向女孩提供保护的青年保护处Direction de la protection de la jeunesse (DPJ),及应该为孩子负责的所有人,包括医院、医生、学校、校董会等其他组织。4月30日,Granby一名7岁女孩被继母和父亲殴打致死,继母现被指控二级谋杀、强行监禁和严重殴打罪,其父则被指控犯有过失造成死亡、绑架、未能向儿童提供必需品和遗弃儿童罪。女孩在Granby家中被发现后的次日于医院死亡。她的死震惊了整个魁北克。

8月18日凌晨2:15左右,目击者发现一辆停在sherbrooke市Wellington南街的车中有一名身穿睡衣的小女孩正在哭泣。警方接到报警后赶到现场将女孩救出。几分钟后,女孩的父亲从附近的酒吧出来。警员称,很明显,他喝醉了。“他有点困惑,似乎并不了解情况的严重性”。这名39岁的父亲被当场逮捕,被控“遗弃儿童”。警方已将调查结果转交检控官。女孩父亲在承诺出庭后被释放,女孩则被带回到母亲的身边。儿童保护机构已介入调查。

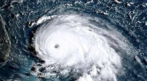
怪兽飓风Dorian(多里安)日前已在巴哈马登陆,现正直扑佛罗里达,料想将带来巨大灾害,加拿大政府急发警告,提醒国民避开在美国佛州和巴哈马的旅行。美国国家飓风研究中心指出,多里安阵风时速超过了354公里,严重威胁人命及建筑安全。该飓风已被定为最高级“第五级”,堪称“极度危险”。专家担心其恐将成为1935年五级大飓风Great Hurricane之后最严重的飓风。当年这个飓风肆虐佛州礁岛群,造成400到600人死亡。佛州67郡目前均已全部进入紧急状态,30个学区宣布关闭,各地纷纷开设避难所。政府已备好约310万公升的饮用水和180万份紧急餐点。28,000名电力工程人员严阵以待。
我们负责新闻·你们负责思考
2019年09月02日
魁北客精编【新闻九卦】


